Publicada em 17/07/2025 às 08h00
RONDÔNIA
1919 – Protestos em Vila Murtinho, contra o fechamento da estação de telégrafo, e as queixas maiores s]ao de comerciantes bolivianos que usam o sistema para contatos que têm no Brasil e fora do país.
1947 – Aluna do curso de piloto do Aeroclube de Porto Velho, Carolina Figueiredo é a 1ª mulher a comandar um avião numa viagem a Guajará-Mirim.
1948 – Confirmado, por um laboratório paulista, que se trata de cassiterita a areia escura encontrada nas terras do seringalista Joaquim Pereira da Rocha.
1957 – Primeiro prefeito eleito de Porto Velho e responsável por grandes obras no início da cidade, o médico Joaquim Augusto Tanajura torna-se patrono do posto de saúde do
Bairro Nossa Senhora das Graças.
1983 – A queixa da OAB/RO relativa ao valor de custas processuais, fixadas pelo TJ, são de responsabilidade exclusiva do Judiciário, não cabendo reclamação da OAB, conforme o desembargador Clemenceau Maia.
1987 – Começa a obra que vai tirar Pimenteiras do isolamento, permitindo o acesso da vila na margem do Rio Guaporé à BR-364 em Vilhena.
1990 – Artigo “Para não chorar depois”, da jornalista Beth Costa denuncia: o Corpo de Bombeiros não tem condições mínimas paa cumprir sua missão.
HOJE É
Dia de Proteção às Florestas ou Dia do Curupira. Dia Mundial do Emoji.
Católicos celebram Santa Marcelina, Santo Aleixo,
BRASIL
1822 — Império do Brasil: D. Pedro I extingue o sistema de sesmarias de terras. 1994 – O Brasil vence a Itália (pênaltis) e é pela 4ª vez campeão mundial de futebol.
MUNDO
1902 — Willis Haviland Carrier (1876/1950) cria o 1º ar-condicionado. 1918 – Comunistas assassinam toda a família imperial russa.
FOTO DO DIA

PREFEITO EM DUAS CIDADES
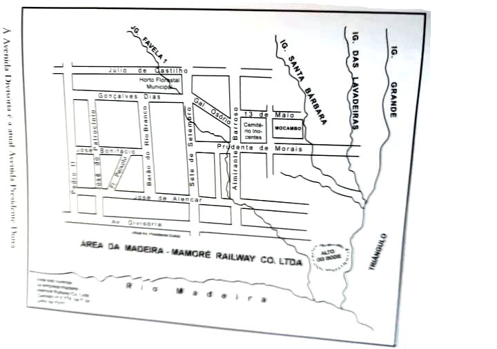
Em 1916, o ex-prefeito de Santo Antonio (MT) Joaquim Augusto Tanajura foi o 1º prefeito eleito de Porto Velho, quando iniciou o horto municipal (entre as ruas Gonçalves Dias, Afonso Pena, Júlio de Castilho e Sete de Setembro).
Reeleito em 1923, como prefeito e deputado à Assembleia amazonense, Tanajura foi o primeiro cassado em Rondônia, pela revolução de 1924, retornando a seguir aos dois mandatos. Em1930 foi nomeado prefeito de Manaus.
Em sua primeira Gestão Tanajura fez pouco, pela falta de apoio do governo do município então parte do Estado do Amazonas, conforme o historiador Esron Menezes, em “Retalhos para a História de Rondônia”.
Na segunda administração Tanajura definiu as ruas Pinheiro Machado, Gonçalves Fias, Prudente de Moraes etc), além de a definir a região de Porto Velho, mandando estudar até a margem do Rio Candeias.
Na segunda administração Tanajura definiu asruas Pinheiro Machado, Gonçalves Fias, Prudente de Moraes etc), além de a definir a região de Porto Velho, mandando estudar até a margem do Rio Candeias.
Foto: Porto Velho em 1916 (está grafado 1915). Acervo: Abnael Machado.



Comentários
Seja o primeiro a comentar!